¼­¿ï ÃßÁøÀ§¿øÈ¸ Ȩ > ÃßÁøÀ§/Á¶ÇÕDB(¼öµµ±Ç) > ¼­¿ï ÃßÁøÀ§¿øÈ¸
È«Àºµ¿ 411-3¹øÁö ÀÏ´ë Àç°ÇÃà<¿¹Á¤±¸¿ª ÇØÁ¦>
±â»çÀÔ·Â 12-05-12 22:26   Á¶È¸ : 361
 
 
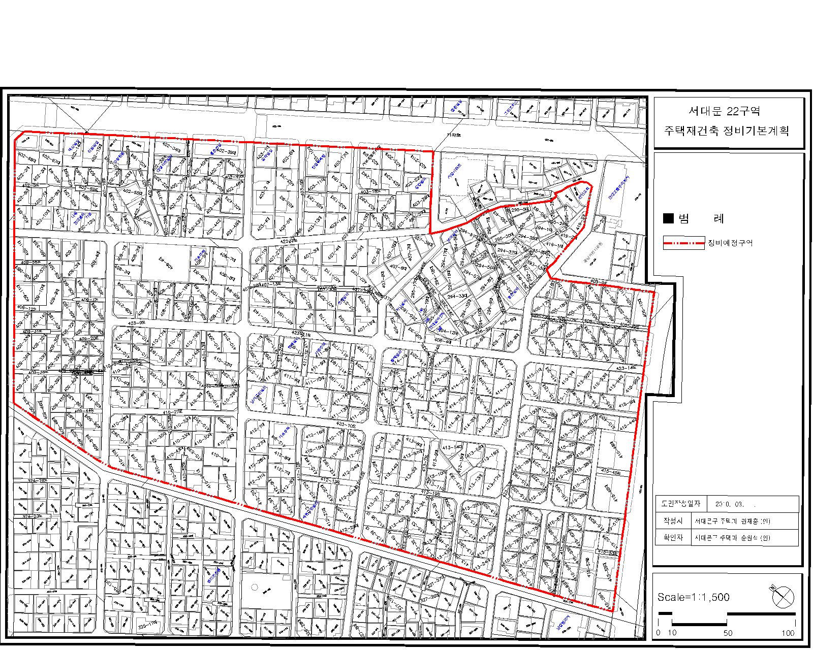
È«Àºµ¿ 411-3¹øÁö ÀÏ´ë Àç°ÇÃà»ç¾÷
 
À§¿øÀå Á¶°æÈñ
ÀüÈ­ : 02-375-5270
 
À§Ä¡ : È«Àºµ¿ 411-3¹øÁö ÀÏ´ë
¸éÀû : 11.7ha
¿ëÀû·ü : 190%

 
<ÃßÁø»çÇ×>
2008.3.4 ÃßÁøÀ§¿øÈ¸ ½ÂÀΠ
2010.5.12 ÇàÀ§Çã°¡ Á¦ÇÑÁö¿ª ÁöÁ¤ ¹× ÁöÇüµµ¸é ÀÛ¼º °í½Ã
2012-05-16 [ÇàÀ§Á¦ÇÑ ÇØÁ¦]  ÇàÀ§Á¦ÇÑ ÇØÁ¦ ¹× ÁöÇüµµ¸é ÀÛ¼º
¼­´ë¹®±¸ È«Àºµ¿ 411-3¹øÁö ÀÏ´ë Àç°ÇÃàÁ¤ºñ¿¹Á¤±¸¿ª¿¡ ´ëÇÏ¿© ¼­´ë¹®±¸ °í½Ã Á¦2010-42È£(2010.5.12)·Î µµ½ÃÁ¤ºñ¹ý Á¦5Á¶Á¦7Ç׿¡ ÀÇÇÑ ÇàÀ§Á¦ÇÑÀ» ÇØÁ¦
¸é Àû : 11.7 ha
ÇØÁ¦³»¿ë : ¼­´ë¹®±¸°í½Ã Á¦2010-42È£(2010.5.12)¿¡ ÀÇÇÑ ÇàÀ§Á¦ÇÑ ³»¿ëÀÏü
ÇØÁ¦»çÀ¯ : È«Àºµ¿ 411-3¹øÁö ÀÏ´ë ÇàÀ§Á¦ÇÑ ÇØÁ¦ Áֹο䱸
2015.7.1 ~ 7.23 Á¤ºñ¿¹Á¤±¸¿ª ÇØÁ¦¸¦ À§ÇÑ ÇàÁ¤¿¹°í
2015.9.16 ¼­¿ï½Ã µµ½Ã°èȹÀ§ Á¤ºñ¿¹Á¤±¸¿ª ÇØÁ¦¾È °¡°á
2015.10.8 Á¤ºñ¿¹Á¤±¸¿ª ÇØÁ¦ °í½Ã
 
2016.3.2 ÃßÁøÀ§ ½ÂÀÎ Ãë¼Ò °í½Ã

 
 
 
<ÀúÀÛ±ÇÀÚ µµ½Ã°³¹ß½Å¹®. ¹«´ÜÀüÀç-Àç¹èÆ÷ ±ÝÁö>
 
ȸ¿ø°¡ÀÔ



µµ½Ã°³¹ß½Å¹®(ÁÖ) |  µî·Ï¹øÈ£:¼­¿ï,¾Æ02031 |  µî·ÏÀÏÀÚ:2012.3.19 |  Á¦È£:µµ½Ã°³¹ß½Å¹® |  ¹ßÇàÀΡ¤ÆíÁýÀÎ:Àü¿¬±Ô |  ÁÖ¼Ò:¼­¿ï °­³²±¸ Å×Çì¶õ·Î 322(¿ª»ïµ¿) ÇѽÅÀÎÅ͹븮24 907È£  |  Tel:02-2183-0516  |  Fax:02-566-0519 |  ÃÖÃʹßÇàÀÏ:2012.6.29 |  Ã»¼Ò³âº¸È£Ã¥ÀÓÀÚ:Àü¿¬±Ô
Copyright ¨Ï udp.or.kr All rights reserved.